Eldigital.do, Nueva York.- El padre Rogelio Cruz instó al presidente Luis Abinader a rechazar la reforma fiscal y a declarar una moratoria en la...
Author - Junior A. Trinidad Feliz
Soy Junior Trinidad, corresponsal y redactor de noticias para El Digital.DO, y estudiante de Ingeniería en Tecnología de la Información en la Universidad O&M en Santo Domingo Este, República Dominicana. Mi formación técnica se complementa con cursos especializados y un diplomado en Periodismo Digital y de Investigación, lo que me ha permitido desarrollar una habilidad única para investigar, analizar y comunicar de manera efectiva.
Nací y crecí en Santo Domingo Este, una ciudad vibrante que ha inspirado mi pasión por la tecnología, el marketing digital y la inteligencia artificial. En mi labor como corresponsal, me dedico a ofrecer contenido preciso y de alta calidad, siempre buscando innovar y adaptar las últimas tendencias tecnológicas a mis reportajes.
Mis artículos aqui en El Digital.DO no solo informan, sino que también reflejan un compromiso profundo con la verdad y la objetividad. Cada noticia que redacto es producto de una investigación meticulosa y un análisis exhaustivo, garantizando que nuestros lectores reciban información veraz y relevante.
A través de mi trabajo, me esfuerzo por ser una fuente confiable de noticias y una voz informada en el campo del periodismo digital. Mi objetivo es continuar contribuyendo al éxito de El Digital.DO y mantener a nuestra audiencia bien informada y comprometida con los temas que impactan nuestra sociedad.
Cuando leas una noticia en El Digital.DO, puedes estar seguro de que está respaldada por una sólida base de conocimientos y una pasión inquebrantable por el periodismo de calidad.
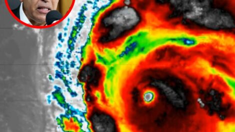
Eldigital.do, Santo Domingo.- El ingeniero geólogo Osiris De León advirtió hoy que el huracán Beryl, de categoría 5, causará fuertes lluvias y oleaje...
Eldigital.do, Santo Domingo.- La División de Aeronaves Tripuladas a Distancia (Drones) del Sistema Nacional de Atención a Emergencias y Seguridad 911...
Eldigital.do, Santo Domingo.- El Centro de Operaciones de Emergencias (COE) de la República Dominicana ha emitido nuevas alertas debido al avance del...
Eldigital.do, Santo Domingo.- La Oficina Nacional de Meteorología (Onamet) ha informado que hoy, a medida que el huracán Beryl continúa acercándose y...
Eldigital.do, Moscú.- El Kremlin informó hoy que el presidente ruso, Vladímir Putin, no se despertó temprano para ver en directo el debate electoral...
Eldigital.do, Florencia.- El Tour de Francia mantendrá el protocolo anti-COVID en el podio de cada etapa, sin permitir saludos de los ganadores a las...
Eldigital.do, Santo Domingo.- El ministro de Salud, Víctor Atallah, visitó el Centro de Rehabilitación Psicosocial Padre Billini, donde Yino...
Eldigital.do, Nueva York.- Tras el debate presidencial del jueves entre el presidente actual de Estados Unidos, Joe Biden, y el candidato republicano...
Eldigital.do, San Juan. Un grupo de aproximadamente 40 personas con estatus migratorio desconocido logró desembarcar el viernes por la costa noroeste...







